
Maize is one of South Africa’s most important staple crops, forming the backbone of food security and livestock feed. However, its profitability and productivity are constantly threatened by leaf diseases that reduce yield and grain quality. These diseases, caused by fungi, bacteria, and viruses, can spread rapidly under favourable conditions, making early identification and timely management essential.
By understanding the economic impact, distribution, symptoms, and control measures of key maize leaf diseases, producers can make informed decisions to protect their crops and ensure sustainable production.
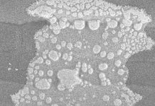
Northern corn leaf blight
Northern corn leaf blight (NCLB, Photo 1) is caused by a fungus, Exserohilum turcicum. This disease can lead to yield losses of up to 30 to 50% under severe infections, especially when the infection occurs before tasselling. NCLB is widespread in South Africa, particularly in cooler, high-rainfall regions such as KwaZulu-Natal and parts of Mpumalanga.
Spores spread via wind and rain splash, surviving on crop residues. Symptoms are observed as long, cigar-shaped grey-green lesions that appear on lower leaves and progress upward. Severe infections cause premature leaf death, reducing photosynthesis.
Management options include planting of resistant hybrids and crop rotation with a non-host such as broad-leaf crops (soybeans, dry beans, or sunflowers). Practices that encourage the rapid decomposition of maize residue (such as tillage) will reduce the amount of fungus available to infect the next crop. Fungicides containing strobilurins or triazoles can be effective when applied early (Kloppers, 2021).

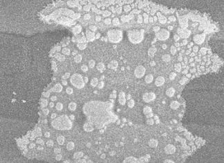
Grey leaf spot
Grey leaf spot (GLS, Photo 2), caused by Cercospora zeae-maydis, is one of the most damaging maize diseases globally, and it can reduce yields by up to 50% in susceptible hybrids. It is common in warm, humid areas of South Africa, including the eastern Highveld and irrigated regions. The pathogen survives on maize debris and spreads as windborne spores.

Symptoms are rectangular, grey lesions between leaf veins, often starting on lower leaves and moving upward. Severe infections lead to leaf blight and lodging. Use resistant hybrids, rotate with non-host crops like legumes (beans, cowpeas, groundnuts, soybeans, pigeon peas, velvet beans, jack beans, lablab and sun hemp) or other cereals (not sorghum) for at least one to two years to reduce the fungal inoculum.
Effective rotations also include potatoes, vegetables, or millet with the focus on burying residue through tillage or planting cover crops like lablab to break the GLS cycle. Fungicides can be applied at VT to R1 stages under high disease pressure.
Bacterial leaf streak
Bacterial leaf streak (BLS, Photo 3), caused by Xanthomonas campestris pv. zeae, was first reported in South Africa in 1949. During the 1980s there were reports of the disease found in KwaZulu-Natal, and more recently it was reported in the Piet Retief and Wakkerstroom areas. Maize remains the only known host of this pathogen. BLS is a seasonal disease that can significantly reduce the leaf area available for photosynthesis, which in turn lowers yield potential. The bacteria spread easily through rain splash, irrigation water, and even contaminated equipment. It is therefore essential to follow good hygiene practices in the field. The first signs of BLS manifest as narrow, water-soaked streaks between the leaf veins. These streaks later turn brown.

Because the symptoms resemble fungal diseases like NCLB and GLS, misdiagnosis is common. It is important to note that foliar fungicides used for fungal diseases will not control BLS. Currently, little is known about hybrid resistance, inheritance, and pathogenicity, which is addressed through ongoing research at the ARC-Grain Crops. Until more information becomes available, producers should stick to standard practices for managing bacterial diseases, which include the following: Plough in crop residues after harvest to reduce bacterial survival. Rotate crops to break the disease cycle. Follow soil-based fertilisation recommendations for healthy plants. Maintain good weed control to reduce stress and competition. By scouting regularly and applying these practices, producers can limit the impact of BLS while researchers work toward better solutions.
Goss’s wilt
This bacterial disease is caused by Clavibacter michiganensis subsp. nebraskensis. Goss’s wilt can cause severe yield losses in susceptible hybrids, especially under drought stress. This disease was reported and positively identified in South Africa in 2024. It spreads through wounds caused by hail or mechanical damage, and the bacteria survive on residues.
Two disease phases are associated with Goss’s wilt infection: a leaf blight phase
(Photo 4) and a systemic wilt phase. Typical symptoms on leaves are dark green to black streaks with water-soaked margins and shiny exudates. Goss’s wilt monitoring and research under South African conditions should be priorities in areas where the disease has been reported.

The best way to manage Goss’s wilt is to plant highly resistant maize hybrids. While no maize genotype will be completely immune to Goss’s wilt, various levels of resistance can occur in maize lines. This highlights the importance of screening maize hybrids under South African field conditions.
Goss’s wilt is a bacterial disease; fungicides are therefore not effective against this disease. No curative measures are available as bacteria cannot be sufficiently controlled chemically. Since this bacterial pathogen survives in infected stubble, reduced movement of infected stubble between fields and removal of infected stubble by ploughing can reduce spread and initial inoculum load. Rotating with non-hosts will help to remove the primary inoculum for the subsequent maize crop. Weed control of alternate hosts (gramineous plant species) will also reduce initial inoculum levels.
Maize streak virus
Maize streak virus (MSV) is one of the most economically important viral diseases of maize in Africa, causing stunting and yield losses up to 100% in severe cases. MSV occurs throughout South Africa, especially in warm, low-altitude regions and is spread by leafhopper vectors (Cicadulina spp.).
Most commercial producers make use of insecticides such as Curator or Gaucho to control leafhoppers feeding on maize. However, this type of control is not only very expensive but also environmentally damaging. MSV poses a serious threat to food security for resource-poor farmers in Africa, as they cannot afford chemical control agents. Typical symptoms are chlorotic streaks on leaves (Photo 5), stunted growth, and poor ear development. To manage this disease producers can use tolerant or resistant varieties, control volunteer maize, and apply insecticide seed treatments to reduce vector feeding.

Leaf diseases in maize remain a major challenge for South African producers, but they can be managed effectively through proactive strategies. Regular scouting, accurate diagnosis, and the use of resistant hybrids are critical first steps. Crop rotation, residue management, and good field hygiene help reduce inoculum levels, while judicious use of fungicides can limit fungal infections. For bacterial and viral diseases, chemical control is ineffective, so cultural practices and resistant varieties are the best defence. By combining these integrated management practices, producers can minimise yield losses and maintain profitable maize production – even in the face of evolving disease threats.
For more information, please contact Dr Belinda Janse van Rensburg at the ARC-Grain Crops in Potchefstroom at 018 299 6357.
References
- Flett, B. & Njom, H. 2021. Bacterial leaf streak found in the Piet Retief area. Graan/Grain SA, March. sagrainmag.co.za
- Kloppers, R. 2021. Corteva Agriscience Technical Notes.


























